Térinformatika

El sem képzelhető a tervezés megkezdése a környezet mélyebb megismerése nélkül. A magas szintű lakossági adatok, útvonalak feltérképezésétől kezdve az alacsony szintű járdaszegély vagy vízvezetékek pontos helyéig teljes (tér)képet alkotunk projektjeinkhez.

A legmagasabb szinten elemezzük a lakossági lehetőségeket, nemcsak a jelen igényeit, de azt is, hogy beavatkozásunk milyen jövőbeni igényeket indíthat el.

Makro

Mezo

Hol vannak a baleseti gócpontok? Hány lakos éri el a megállót 5 perc gyaloglással? - és hasonló kérdésekre keressük a válaszokat.

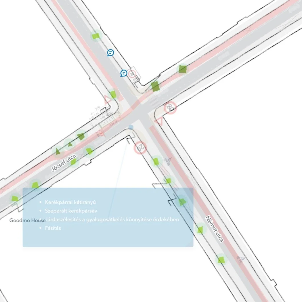
Mikro

Hol van a jelenlegi járdaszegély? Zavarják a táblák a gyalogosközlekedést? Hol futnak a vízvezetékek? Milyen költségei lehetnek a fásításnak?